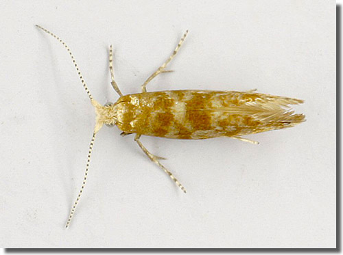
| Family: | Argyresthiidae |
| Subfamily: | Argyresthiinae |
| Genus: | Argyresthia |
| Species: | cupressella |
| Authority: | Walsingham, 1890 |


The abundance in each month is indicated as follows:
No records
Very occasional
Irregular
Uncommon
Off-peak, but not unusual
Off-peak, but not unusual
Main flight time| J | F | M | A | M | J | J | A | S | O | N | D | |
|---|---|---|---|---|---|---|---|---|---|---|---|---|
| Adult | ![]() | ![]() | ![]() | ![]() | ![]() | ![]() | ![]() | ![]() | ![]() | ![]() | ![]() | ![]() |
| Larval | ![]() | ![]() | ![]() | ![]() | ![]() | ![]() | ![]() | ![]() | ![]() | ![]() | ![]() | ![]() |